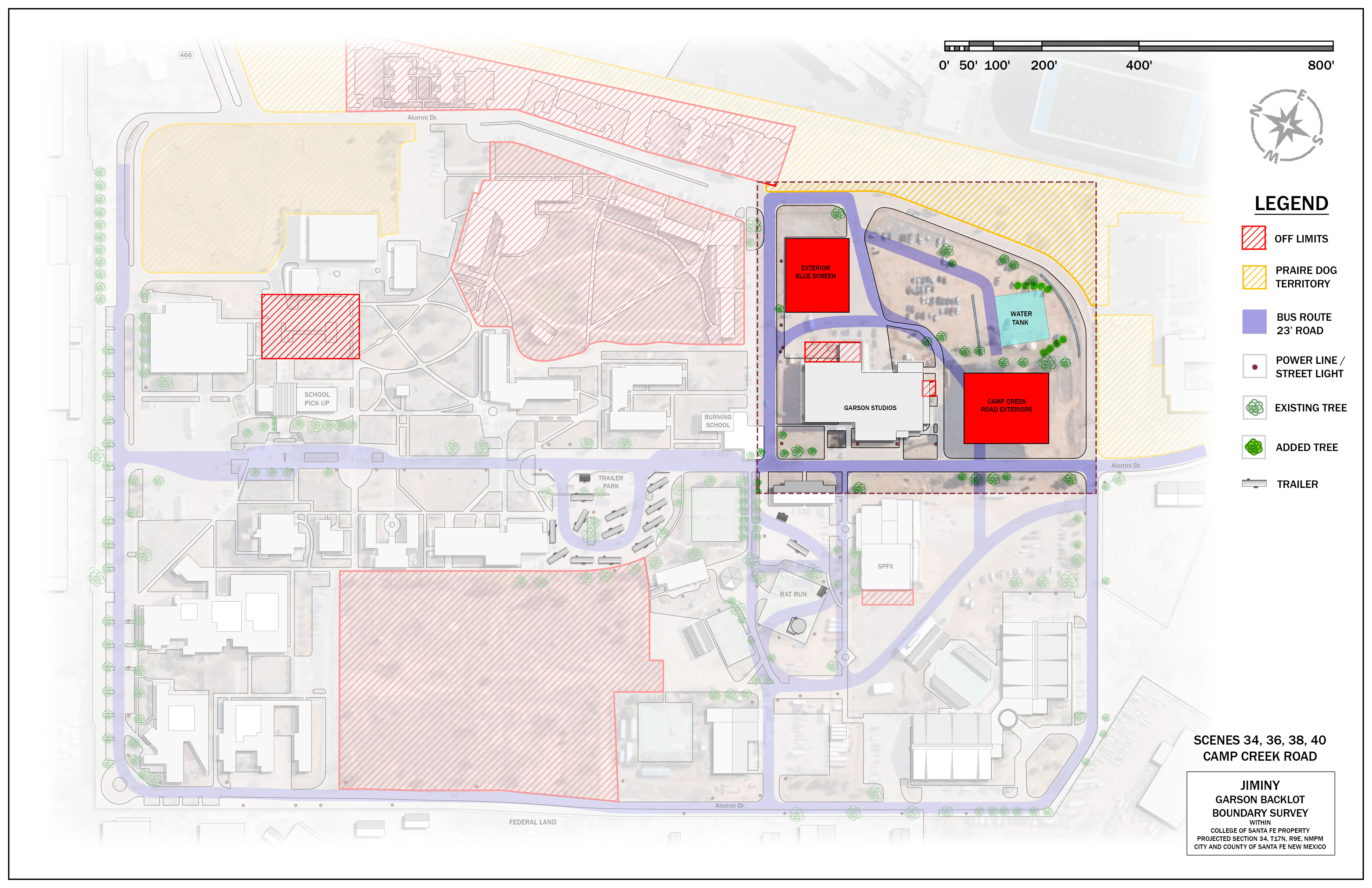
THE LOST BUS